Terrain constructible à vendre - 9402 Mörschwil
Pourquoi vous aimerez ce bien
Pas d'obligation architecturale
Idéal pour immeuble collectif
Emplacement privilégié à Mörschwil
Organiser une visite
Réserver une visite avec Kurt aujourd'hui !
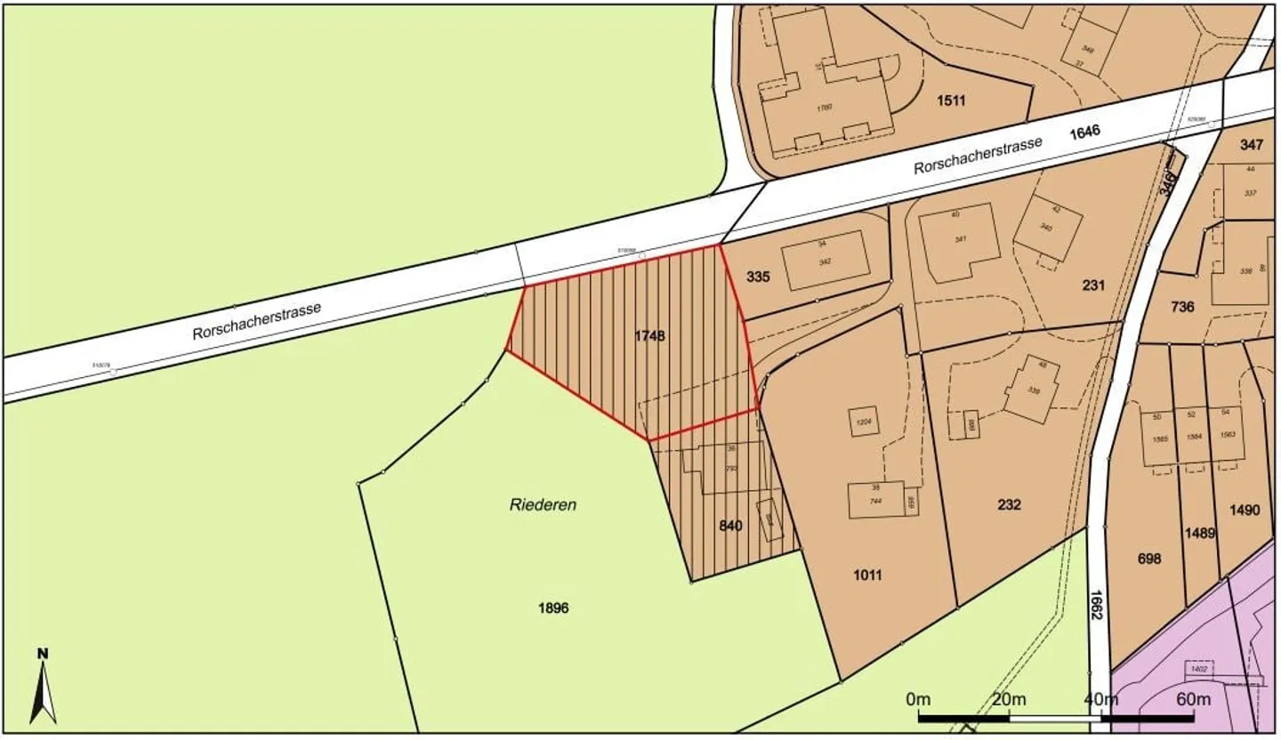
Terrain à bâtir pour maison multifamiliale
À vendre dans la commune prisée de Mörschwil SG, 1'565 m2 de terrain à bâtir.
Le terrain à bâtir est vendu sans obligation architecturale.
Convient à la construction d'une maison multifamiliale.
Détails du bien
- Disponible à partir de
- Sur accord
- Surface du terrain
- 1565 m²




