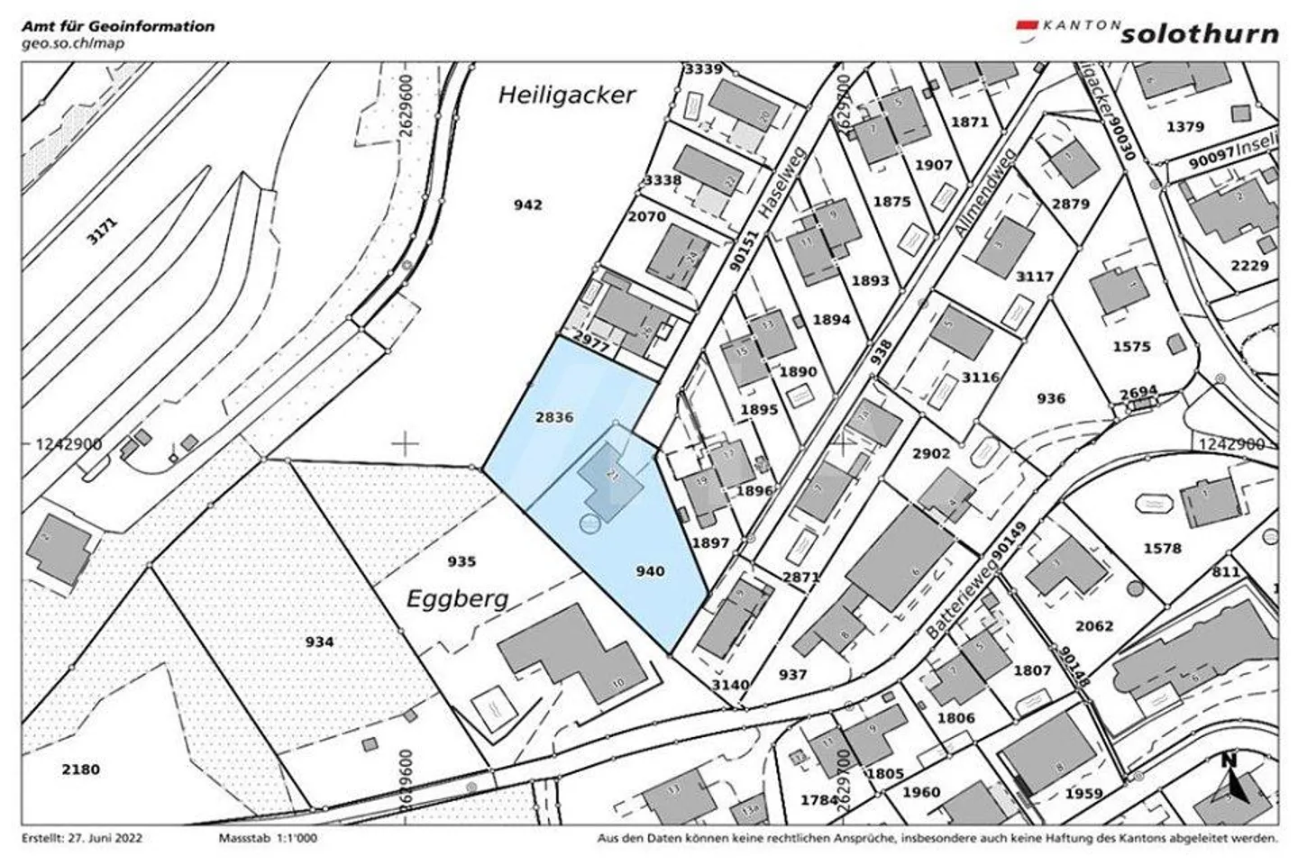
Terrain constructible à vendre - 4614 Hägendorf
Pourquoi vous aimerez ce bien
Vue imprenable sur les Alpes
Emplacement ensoleillé
Terrain spacieux de 1'992 m²
Organiser une visite
Réserver une visite avec Merico aujourd'hui !
Emplacement élevé, vues magnifiques et beaucoup de soleil
Êtes-vous à la recherche d'un terrain pour vous ou votre famille ? Souhaitez-vous une parcelle avec une vue magnifique et beaucoup de soleil ? Accordez-vous de l'importance à une zone rurale et à un emplacement de premier choix avec beaucoup de potentiel ? Accueillez-vous une planification entièrement à votre goût ?
Si vous pouvez répondre OUI à ces questions, ce terrain unique est certainement fait pour vous.
Ce terrain exceptionnel est idéal pour la réalisation d'une nouvelle maison individuelle...
Détails du bien
- Disponible à partir de
- Sur accord
- Surface du terrain
- 1992 m²



