1 / 11

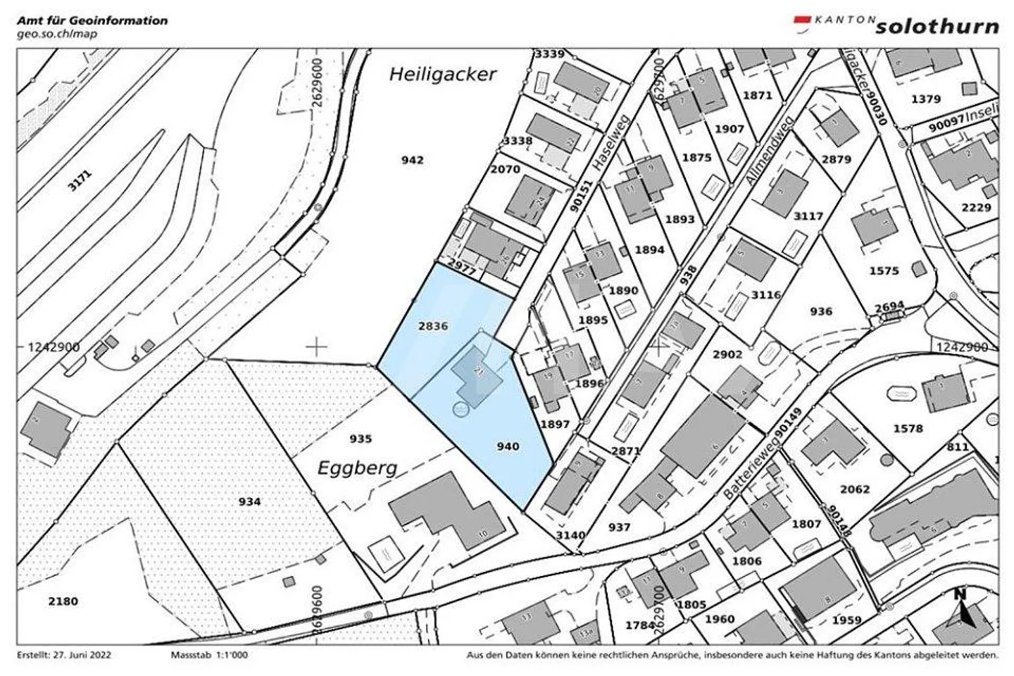
Terrain constructible à vendre - 4614 Hägendorf

1992 m² Plot
CHF 1’700’000.-
CHF 853 m²

Pourquoi vous aimerez ce bien

Vue alpine imprenable

Emplacement élevé ensoleillé

Grand terrain pour construction sur mesure

Organiser une visite

Réserver une visite avec Merico aujourd'hui !

Merico Marco
RE/MAX Immobilien in Zofingen
Cette description a été traduite automatiquement depuis Allemand.

Emplacement élevé, vues magnifiques et beaucoup de soleil

Êtes-vous à la recherche d'un terrain pour vous ou votre famille ? Souhaitez-vous une parcelle avec une vue magnifique et beaucoup de soleil ? Accordez-vous de l'importance à une zone rurale et à un emplacement de premier choix avec beaucoup de potentiel ? Accueillez-vous une planification entièrement à votre goût ?

Si vous pouvez répondre OUI à ces questions, ce terrain unique est certainement fait pour vous.

Ce terrain exceptionnel est idéal pour la réalisation d'une nouvelle maison individuel...

Détails du bien

Disponible à partir de
Sur accord
Surface du terrain
1992

Agence

RE/MAX Immobilien in Zofingen
Adresse:Vordere Hauptgasse 36, 4800, Zofingen
Merico Marco
Ref: 116060022-16001830
En ligne depuis
07/08/2025
il y a 2 mois

Localisation

4614 Hägendorf

Sources