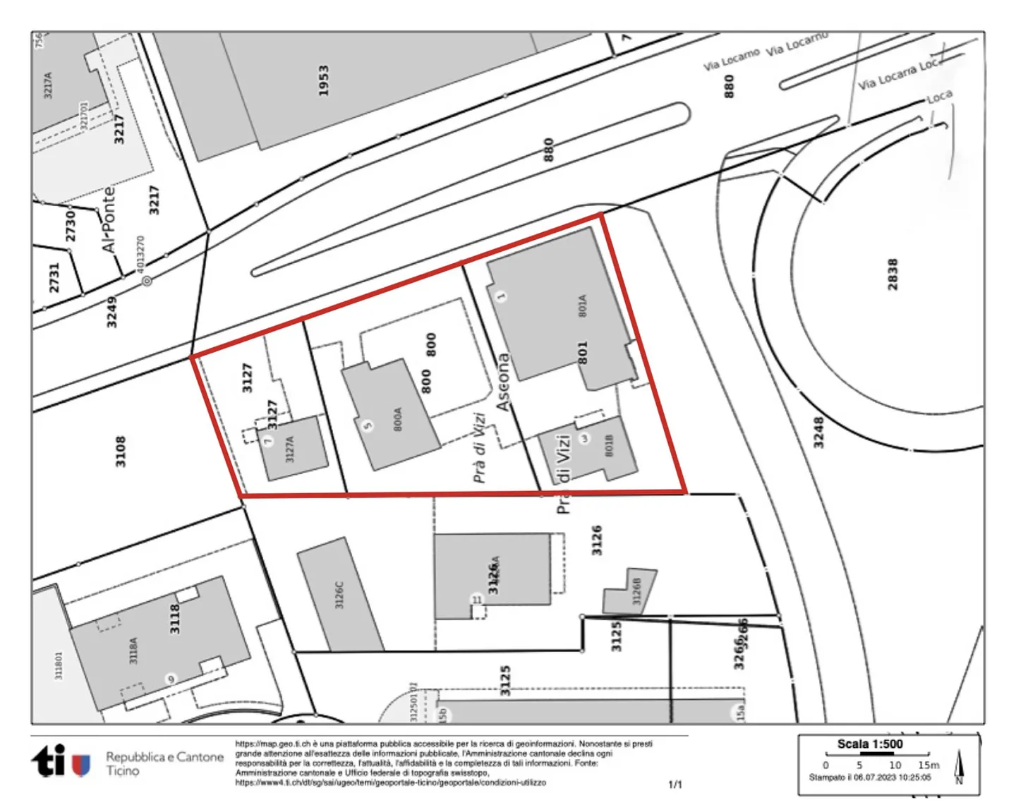
Terrain constructible à vendre - Via Locarno 1, 6612 Ascona
Pourquoi vous aimerez ce bien
Façades et toits verts
Projet de design durable
Places de parking privées
Organiser une visite
Réserver une visite avec FENDONI aujourd'hui !
Terrain à vendre, via locarno 1, à ascona, suisse
Le terrain constructible à vendre est situé à l'entrée du village d'Ascona,
offrant un accès facile à l'autoroute et aux transports publics.
Actuellement, la propriété comprend quatre bâtiments distincts,
dont trois résidences avec 5 unités d'habitation réparties sur 3 parcelles distinctes,
et un bâtiment qui abrite un atelier de menuiserie, un studio d'architecture,
et une unité d'habitation supplémentaire au premier étage.
La grande zone extérieure dispose d'espaces verts bien entretenus...
Détails du bien
- Disponible à partir de
- Sur accord
- Surface du terrain
- 1834 m²



