Commercial building plot for sale - 6703 Osogna
Why you'll love this property
High building potential
Direct access available
Versatile for various uses
Arrange a visit
Book a visit today!
BUILDABLE LAND IN RESIDENTIAL AREA IN ARZO
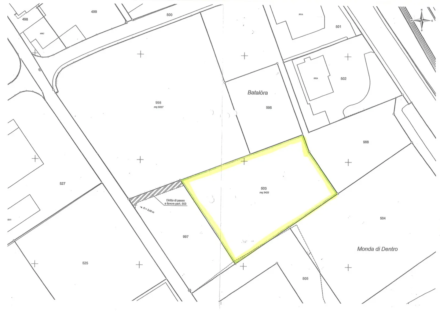
The land is located in the industrial area (Ar) of Osogna, in the municipality of Riviera, designated for industrial, low-disturbance artisanal, and commercial activities (shops, offices), as well as catering. The area offers high building potential, with excellent accessibility and a functional context for productive and logistical activities.
Main features of the land:
Surface: 2,425 m²
Building destination: Industrial, artisanal, commercial activities, catering. Housing is only permitted for sur...
Property details
- Available from
- By agreement
- Land surface
- 2425 m²



