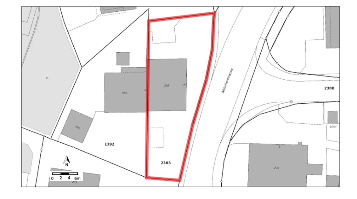
Constructible plot for sale - 5645 Aettenschwil
Why you'll love this property
Quiet natural location
Ideal for development
Investment opportunity
Arrange a visit
Book a visit with Jelena today!
Bauland mit naturnaher Umgebung, Aettenschwil
Ein seltenes Angebot mit Zukunftsperspektive erwartet Sie in Aettenschwil (Kanton Aargau): Dieses attraktive Grundstück eröffnet Anlegern, Bauträgern und anspruchsvollen Privatkäufern eine hervorragende Gelegenheit, in einen begehrten Standort mit nachhaltigem Wertsteigerungspotenzial zu investieren. Die ruhige und naturnahe Lage, kombiniert mit der idealen Parzellengrösse, bietet die perfekte Grundlage für Ihr persönliches Bauprojekt oder einen sicheren Kapitalaufbau mit Entwicklungsperspektive...
Property details
- Available from
- By agreement
- Land surface
- 479 m²



