Constructible plot for sale - Via Locarno 1, 6612 Ascona
Why you'll love this property
Green facades & roofs
Sustainable design project
Private parking spaces
Arrange a visit
Book a visit with FENDONI today!
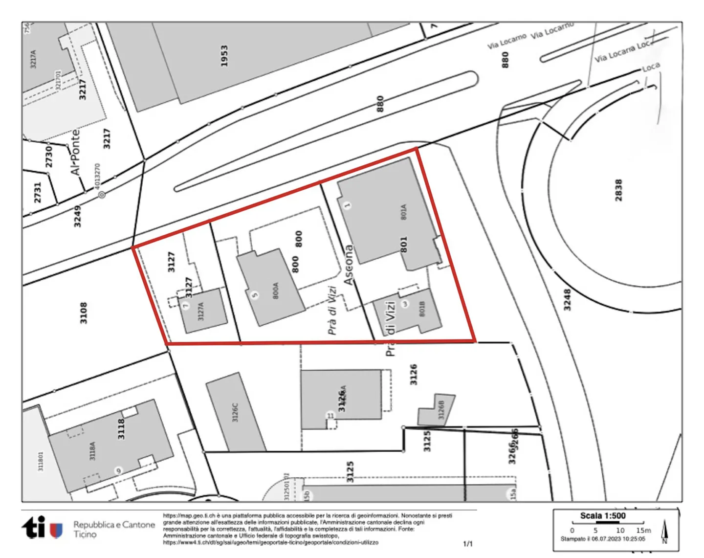
Land for sale, via locarno 1, in ascona, switzerland
The building land for sale is located at the entrance of the village of Ascona,
offering easy access to the highway and public transport.
Currently, the property includes four distinct buildings,
three of which are residences with 5 housing units spread over 3 distinct plots,
and a building that houses a carpentry shop, an architecture studio,
and an additional housing unit on the first floor.
The large outdoor area boasts well-maintained green spaces,
private parking, and dedicated acces...
Property details
- Available from
- By agreement
- Land surface
- 1834 m²



