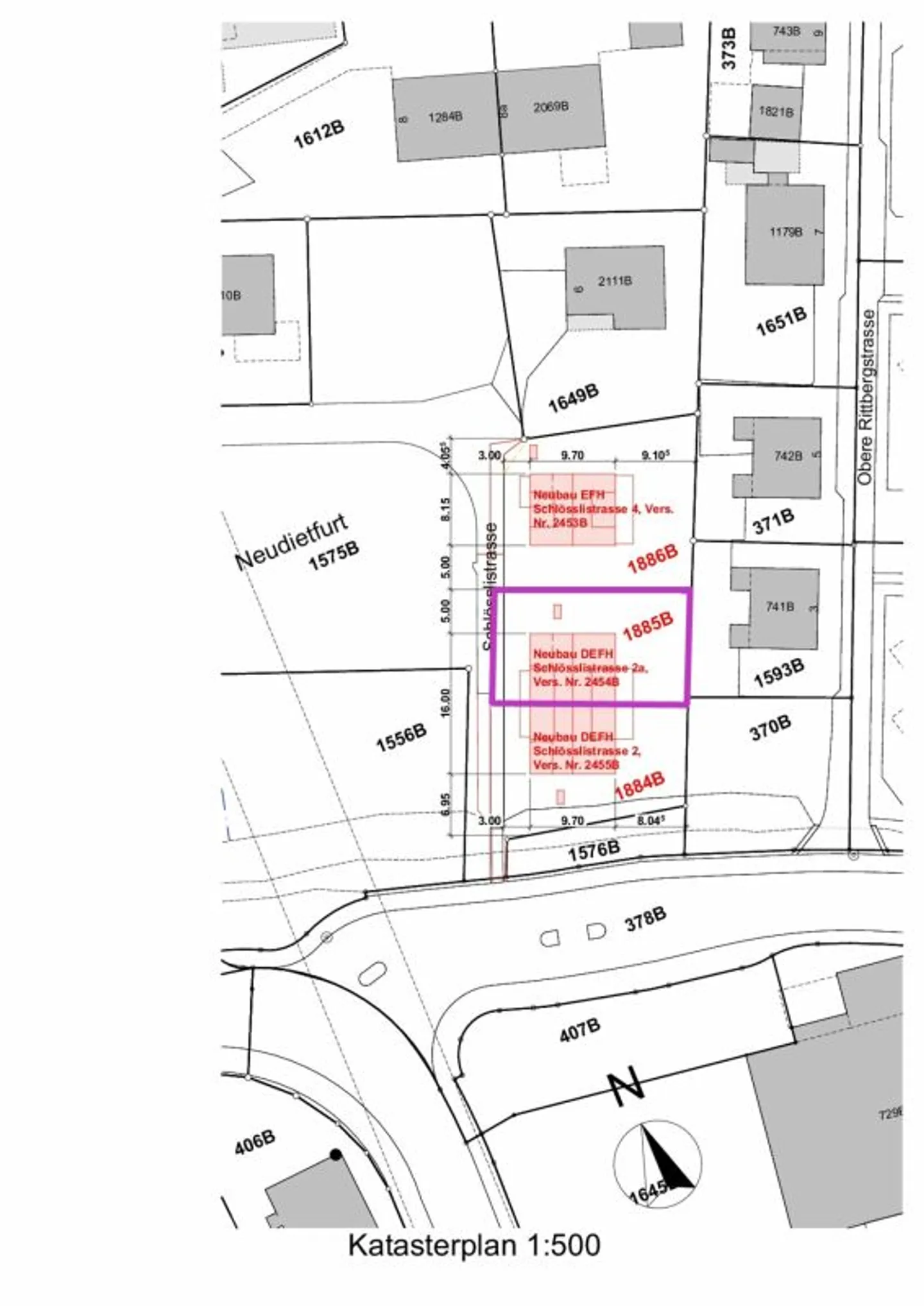
Einfamilienhaus kaufen - Schlösslistrasse 2a, 9615 Dietfurt
Warum Sie diese Immobilie lieben werden
Individuell gestaltbare Räume
Heller offener Wohnbereich
Energieeffiziente Bauweise
Besichtigung vereinbaren
Besichtigung mit Ernst buchen
Neubau Einfamilienhaus - Ausbau nach Wunsch
Wohnen im Neubau - durchdachter 5.5-Zimmer-Grundriss mit Umschwung und Balkon
Herzlich Willkommen im neuen Doppeleinfamilienhaus!
Diese schön gestalteten neuen Räume werden Ihnen das Leben nicht nur sehr wohnlich machen, sondern Ihnen mit der absolut praktischen und gut durchdachten Raumaufteilung auch vieles erleichtern. Geben Sie Ihre eigenen Wünsche im Ausbau und damit Ihren ganz persönlichen Stil mit ein und es entsteht Ihr neues zu Hause.
Kurzüberblick
- rund 143 m² Nettowohnfläche, 5.5 Zimmer
Im ...
Immobiliendetails
- Verfügbar ab
- Nach Vereinbarung
- Zimmer
- 5.5
- Badezimmer
- 2
- Wohnfläche
- 143 m²
- Grundstücksfläche
- 275 m²




