Bauland kaufen - 9402 Mörschwil
Warum Sie diese Immobilie lieben werden
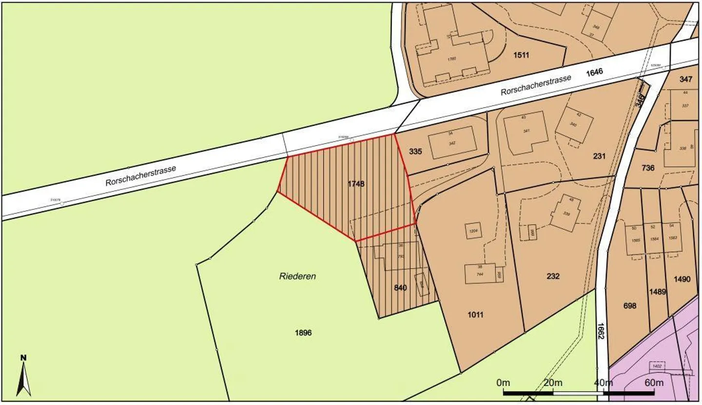
1'565 m2 Grundstück
Ohne Architekturverpflichtung
Ideal für Mehrfamilienhaus
Besichtigung vereinbaren
Besichtigung mit Brüschweiler buchen
Bauland grundstück für mfh
Zu verkaufen in der bevorzugten Gemeinde Mörschwil SG, 1'565 m2 Bauland Grundstück.
Das Bauland wird ohne Architektur Verpflichtung verkauft.
Eignet sich zum Bau eines Mehrfamilienhaus.
Immobiliendetails
- Verfügbar ab
- Nach Vereinbarung
- Grundstücksfläche
- 1565 m²



