Gewerbebaugrundstück kaufen - 6703 Osogna
Warum Sie diese Immobilie lieben werden
Hohes Baupotenzial
Direkter Zugang zu Dienstleistungen
Optimierung der Grünflächen
Besichtigung vereinbaren
Besichtigung mit Area buchen
Baugrundstück inmitten der Natur in Osogna
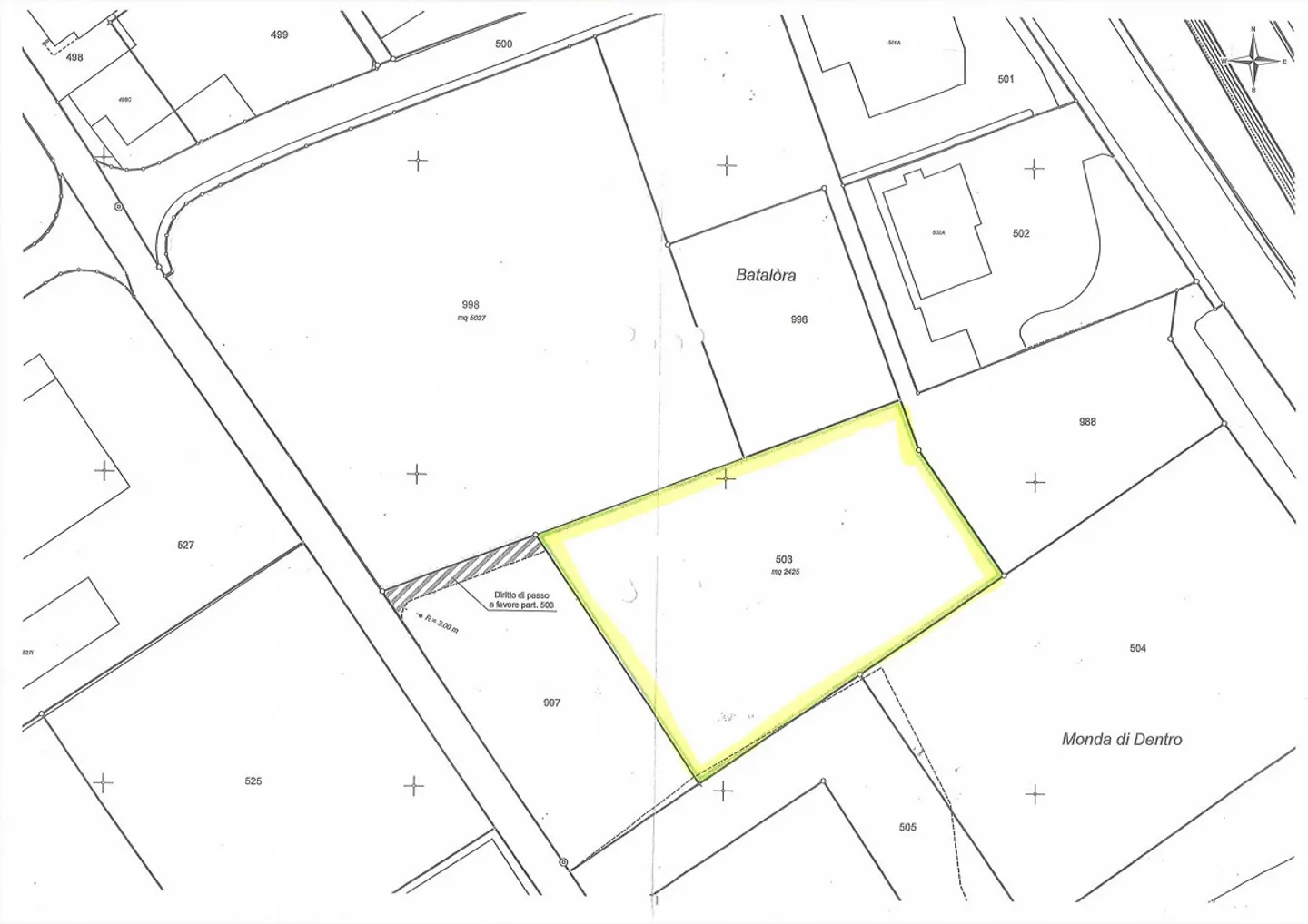
Das Grundstück befindet sich im Gewerbegebiet (Ar) von Osogna, in der Gemeinde Riviera, das für gewerbliche, handwerkliche und kommerzielle Tätigkeiten (Läden, Büros) sowie Gastronomie bestimmt ist.
Die Zone bietet ein hohes Baupotenzial, mit guter Erreichbarkeit und funktionaler Umgebung für Produktions- und Logistikaktivitäten.
Hauptmerkmale des Grundstücks:
Fläche: 2'425 m²
Baurecht: Gewerbliche, handwerkliche, kommerzielle und gastronomische Tätigkeiten.
Wohnungen sind nur für Wachpersonal oder D...
Immobiliendetails
- Verfügbar ab
- 03.03.2026
- Grundstücksfläche
- 2425 m²



