Industriebauland kaufen - 6703 Osogna
Besichtigung vereinbaren
Besichtigung buchen
TERRENO EDIFICABILE IN ZONA RESIDENZIALE AD ARZO
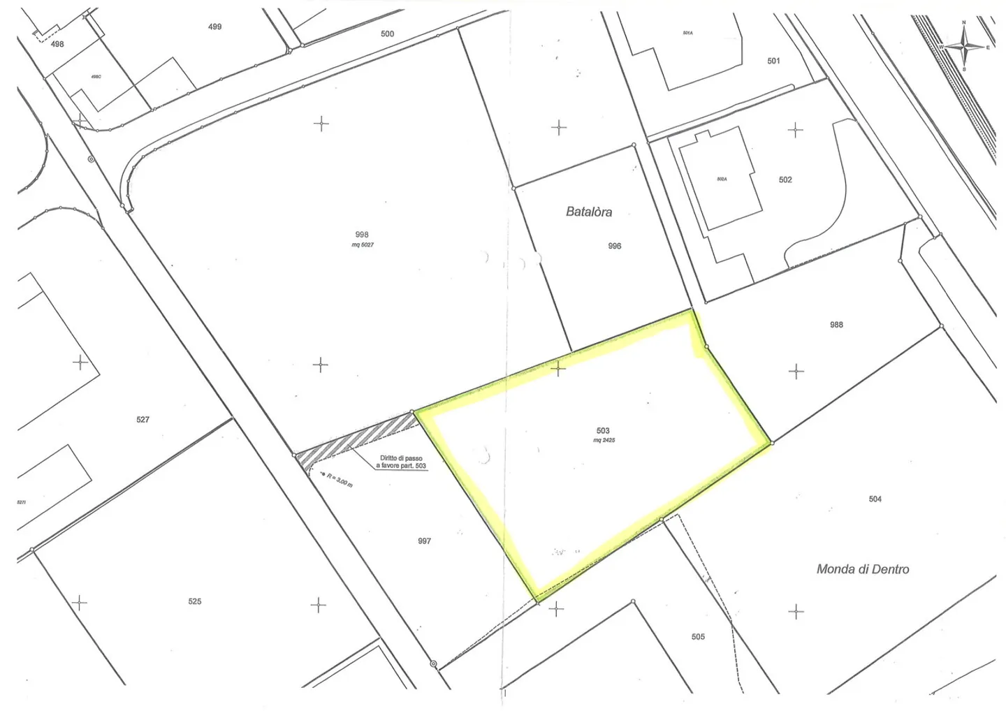
l terreno si trova nella zona artigianale (Ar) di Osogna, nel comune di Riviera, destinata ad attività industriali, artigianali poco moleste e commerciali (negozi, uffici), nonché ristorazione. La zona offre un alto potenziale edificatorio, con ottima accessibilità e contesto funzionale per attività produttive e logistiche.
Caratteristiche principali del terreno:
Superficie: 2'425 m²
Destinazione edilizia: Attività industriali, artigianali, commerciali, ristorazione. Abitazioni ammesse solo per ...
Immobiliendetails
- Verfügbar ab
- Nach Vereinbarung
- Wohnfläche
- 2425 m²
- Nutzfläche
- 2425 m²
- Grundstücksfläche
- 2425 m²



