1 / 3

Bauland kaufen - Schwabistalstrasse 53, 5037 Muhen

CHF 650.-
-

Warum Sie diese Immobilie lieben werden

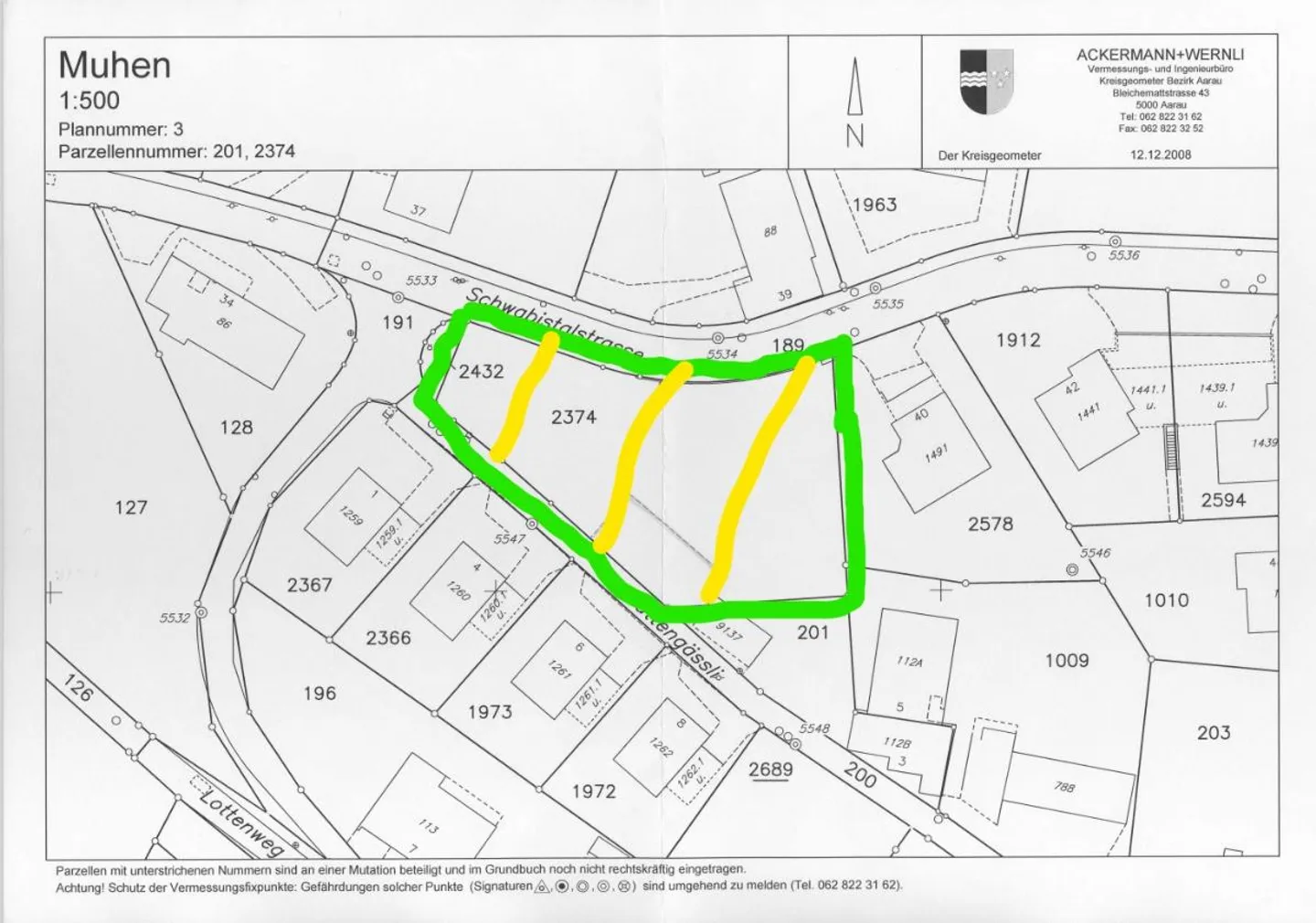
941 m² für Ihr Traumhaus

Ruhige, sonnige Lage

Schöne Aussicht auf den Hang

Besichtigung vereinbaren

Besichtigung buchen

«bauland»

Das Bauland wird im Bieterverfahren verkauft. Aktueller Biet Preis 650.- pro 2m.Entdecken Sie dieses grosszügige Bauland von 941 m² an der Schwabistalstrasse in Muhen. Das Grundstück befindet sich in einer ruhigen und sonnigen Lage und bietet ideale Voraussetzungen für Ihr Traumhaus.Das Bauland zeichnet sich aus durch:•Grosszügige Fläche: 941 m² bieten ausreichend Platz für ein Einfamilienhaus mit Garten•Ruhige Lage: Fernab von Verkehrslärm und Bahnlinie gelegen•Sonnige Ausrichtung: Optimale Bes...

Immobiliendetails

Verfügbar ab
Nach Vereinbarung

Agentur

Standort

Schwabistalstrasse 53, 5037 Muhen

Quellen