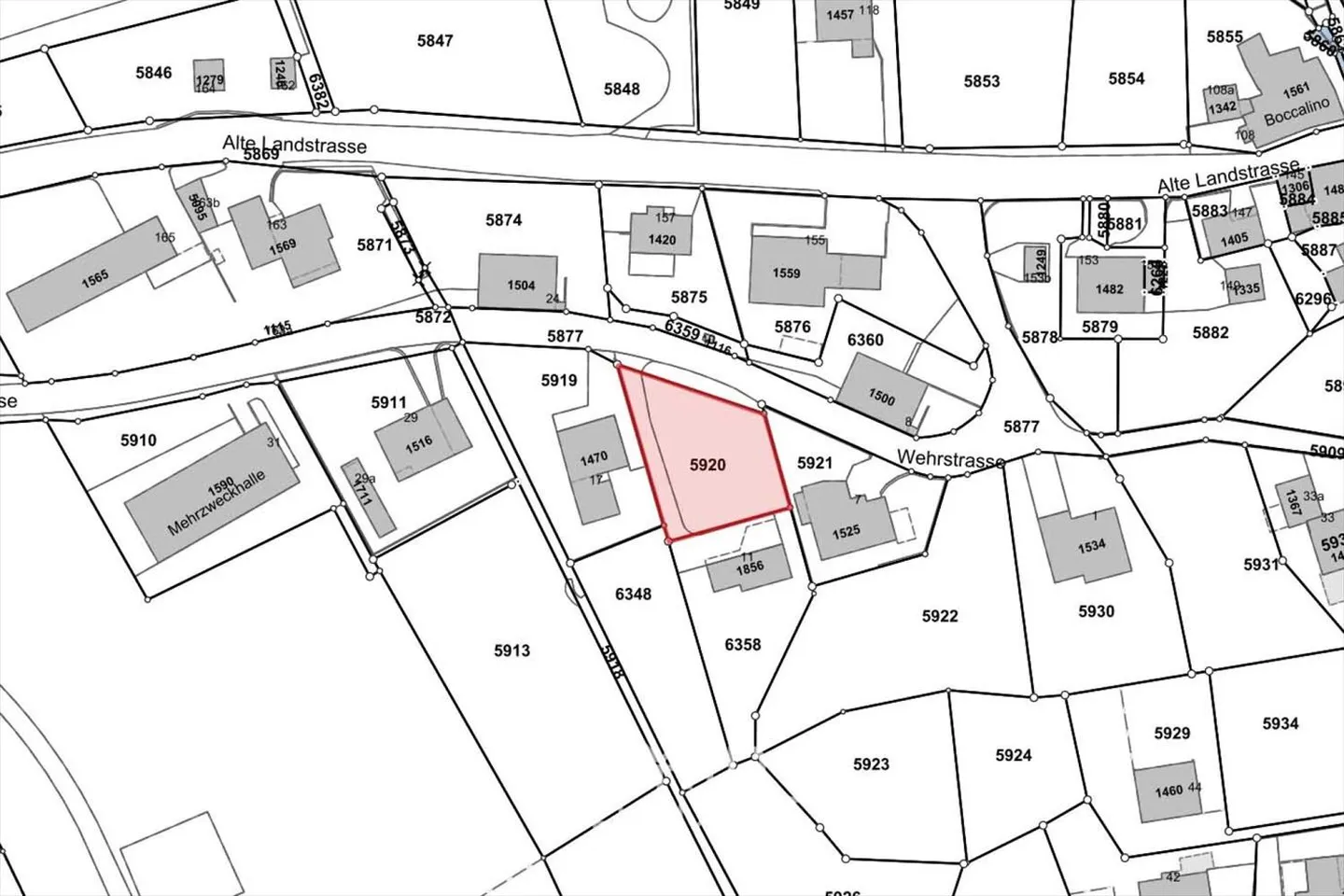
Terreno edificabile in vendita - Wehrstrasse, 3900 Gamsen
Perché amerai questa proprietà
Completamente servito per costruire
Zona residenziale tranquilla e soleggiata
Ideale per progetto di casa familiare
Organizza una visita
Prenota una visita oggi!
Terreno edificabile
Terreno edificabile a Gamsen - completamente sviluppato e immediatamente edificabile (W2)
Terreno edificabile esclusivo a Gamsen, W2 - Sviluppato e immediatamente edificabile
Terreno edificabile esclusivo in vendita a 3900 Gamsen. La proprietà offre una base ottimale per un progetto di nuova costruzione e si rivolge sia a costruttori privati che a investitori. La posizione, lo sviluppo e la zonizzazione creano condizioni ideali per un progetto immobiliare di valore a lungo termine nell'Alto Valle...
Dettagli immobile
- Disponibile dal
- Su accordo
- Superficie abitabile
- 590 m²



