1 / 1

Terreno edificabile in vendita - Grosses Moos, 3906 Saas-Fee

752 m² Plot
CHF 562’000.-
CHF 747 m²

Perché amerai questa proprietà

Terreno di 752 m²

A pochi passi dal villaggio

Circondato da 13 vette

Organizza una visita

Prenota una visita con Stefan oggi!

Stefan Supersaxo
Supersaxo Immo Collection GmbH
Questa descrizione è stata tradotta automaticamente da Tedesco.

Parcella edificabile nella zona più soleggiata di saas-fee

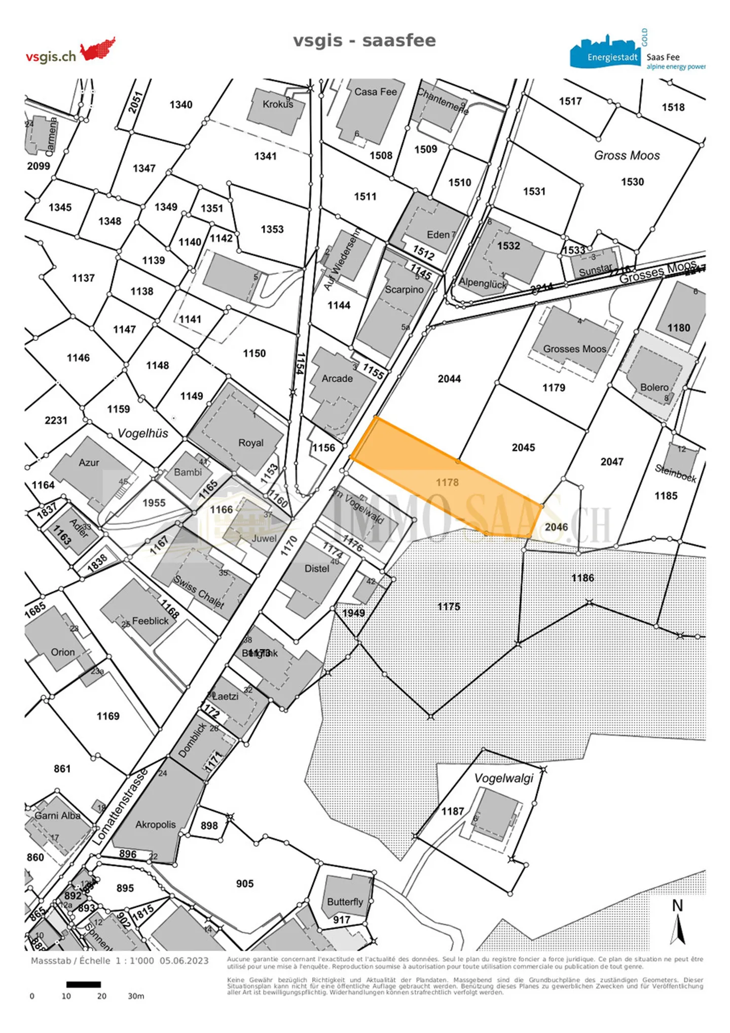
Terreno edificabile n. 1178, Piano n. 8, Zona residenziale 1 (WZ1), superficie del terreno 752 m2

Il terreno edificabile si trova in un luogo chiamato "Grosses Moos", nella posizione più soleggiata di Saas-Fee; a breve distanza a piedi dal parcheggio P1.

In pochi minuti puoi raggiungere il centro del villaggio con opzioni di shopping, ristoranti, banca e ufficio postale.

Saas-Fee "Perla delle Alpi"

Le perle sono preziose, le perle sono ricercate. E una tale perla si trova in mezzo alle montagne ...

Dettagli immobile

Disponibile dal
18.10.2025
Superficie terreno
752

Agenzia

Supersaxo Immo Collection GmbH
Indirizzo:Grosses Moos 25, 3906, Saas-Fee
Stefan Supersaxo
Ref: 4422175
Online da
18/10/2025
18 ore fa

Località

Grosses Moos, 3906 Saas-Fee