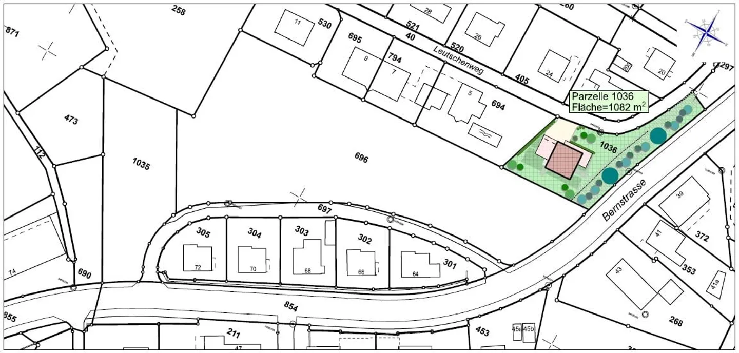
Terreno edificabile in vendita - Bernstrasse, 4923 Wynau
Perché amerai questa proprietà
Posizione collinare elevata
Vicino alla natura
Accesso centrale alla comunità
Organizza una visita
Prenota una visita oggi!
Terreno edificabile
Pianifica la tua casa su un terreno di 1'082 m2.
La proprietà si trova in una posizione elevata in una posizione ideale nella bella municipalità di Wynau BE.
Grazie alla vicinanza alla natura e alla posizione centrale, questo lotto offre la casa perfetta.
Il comune prevede di approvare la prontezza per la costruzione nel 2026 e il lotto potrà essere costruito da allora.
Attendiamo con interesse la tua offerta e siamo felici di rispondere a qualsiasi domanda.
Dettagli immobile
- Disponibile dal
- 05.12.2024
- Superficie terreno
- 1082 m²




