Terreno edificabile in vendita - Kirchstrasse 4, 8574 Oberhofen TG
Perché amerai questa proprietà
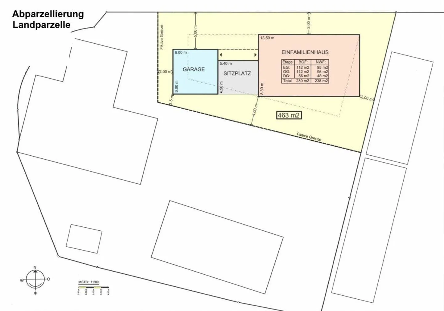
Terreno spazioso di 463m²
Opzioni di costruzione flessibili
Posizione naturale idilliaca
Organizza una visita
Prenota una visita con Gürkan oggi!
Realizza il tuo sogno: terreno edificabile in una posizione attraente a oberhof...
Terreno edificabile attraente a Oberhofen - La tua occasione per la tua casa dei sogni
Questo terreno edificabile attraente a Oberhofen vicino a Lengwil ti offre l'opportunità perfetta di costruire la tua nuova casa secondo le tue idee. Dopo la suddivisione, è disponibile un terreno edificabile completamente sviluppato per una costruzione immediata.
I tuoi vantaggi a colpo d'occhio:
- Terreno generoso di circa 463 m² per la tua casa individuale
- Flessibilità nello stile di costruzione
- Predisposto ...
Dettagli immobile
- Disponibile dal
- Su accordo
- Superficie terreno
- 463 m²



