Casa grotta in vendita - Foschastrasse, 3970 Salgesch
Perché amerai questa proprietà
Posizione ideale vicino ai servizi
Layout funzionale con 8 unità
Posti auto inclusi
Organizza una visita
Prenota una visita oggi!
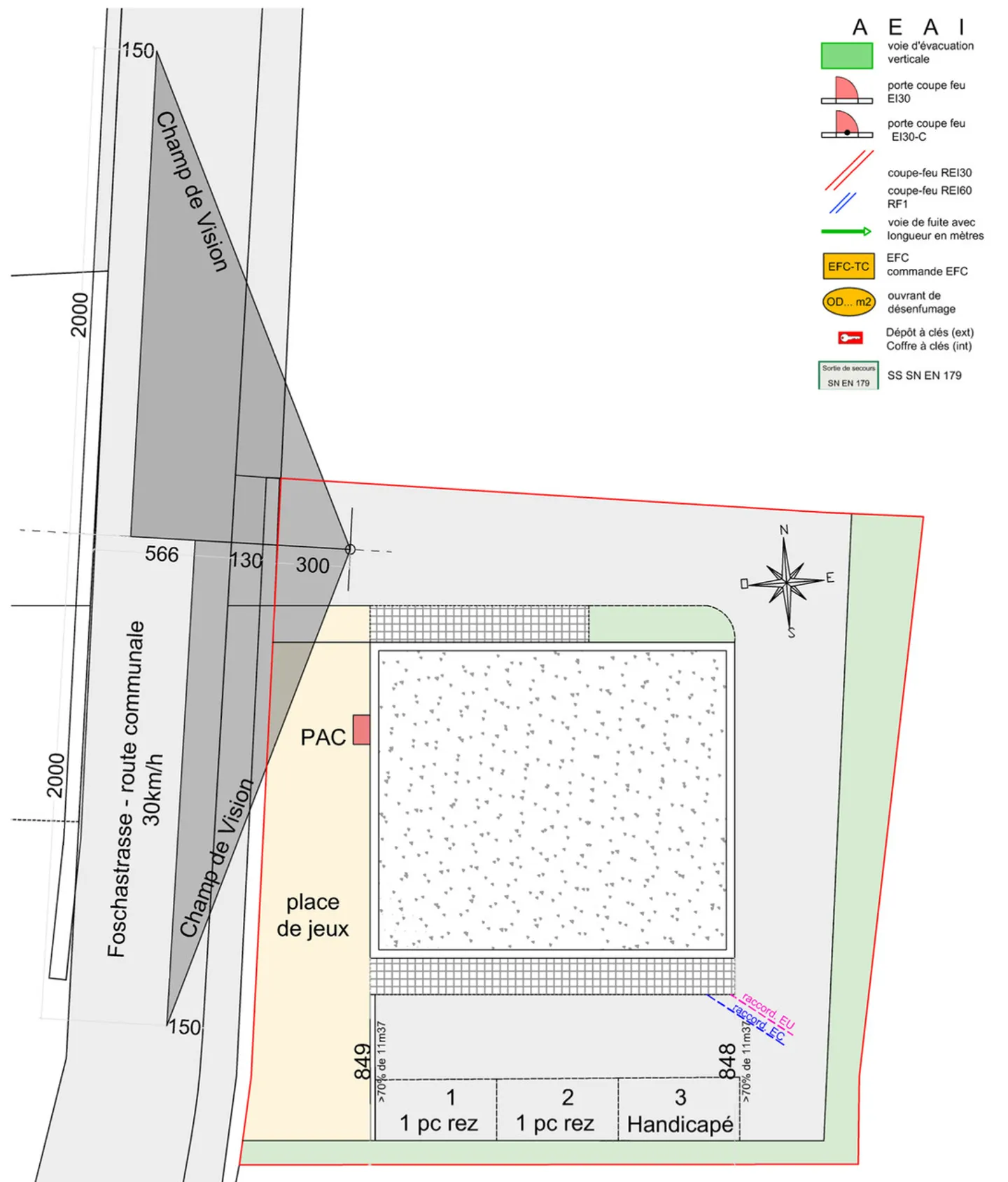
Salgesch edificio di 8 appartamenti da costruire (libero da mandato)
Progetto di edificio – Salgesch
Posizione ideale vicino a Sierre e Leuk, con tutti i servizi nelle vicinanze.
Questo futuro edificio residenziale è composto da 8 appartamenti, distribuiti in modo funzionale su tre livelli, con un'organizzazione ottimizzata attorno a una scala centrale che garantisce una distribuzione fluida delle unità abitative.
Al piano terra superiore, l'edificio ospita:
* 2 monolocali di 24 m², ideali per uso locativo
* 2 appartamenti di 2,5 locali di 64 m²
Il 1° e il 2° piano...
Dettagli immobile
- Disponibile dal
- 02.04.2026
- Anno di costruzione
- 2026



