1 / 11

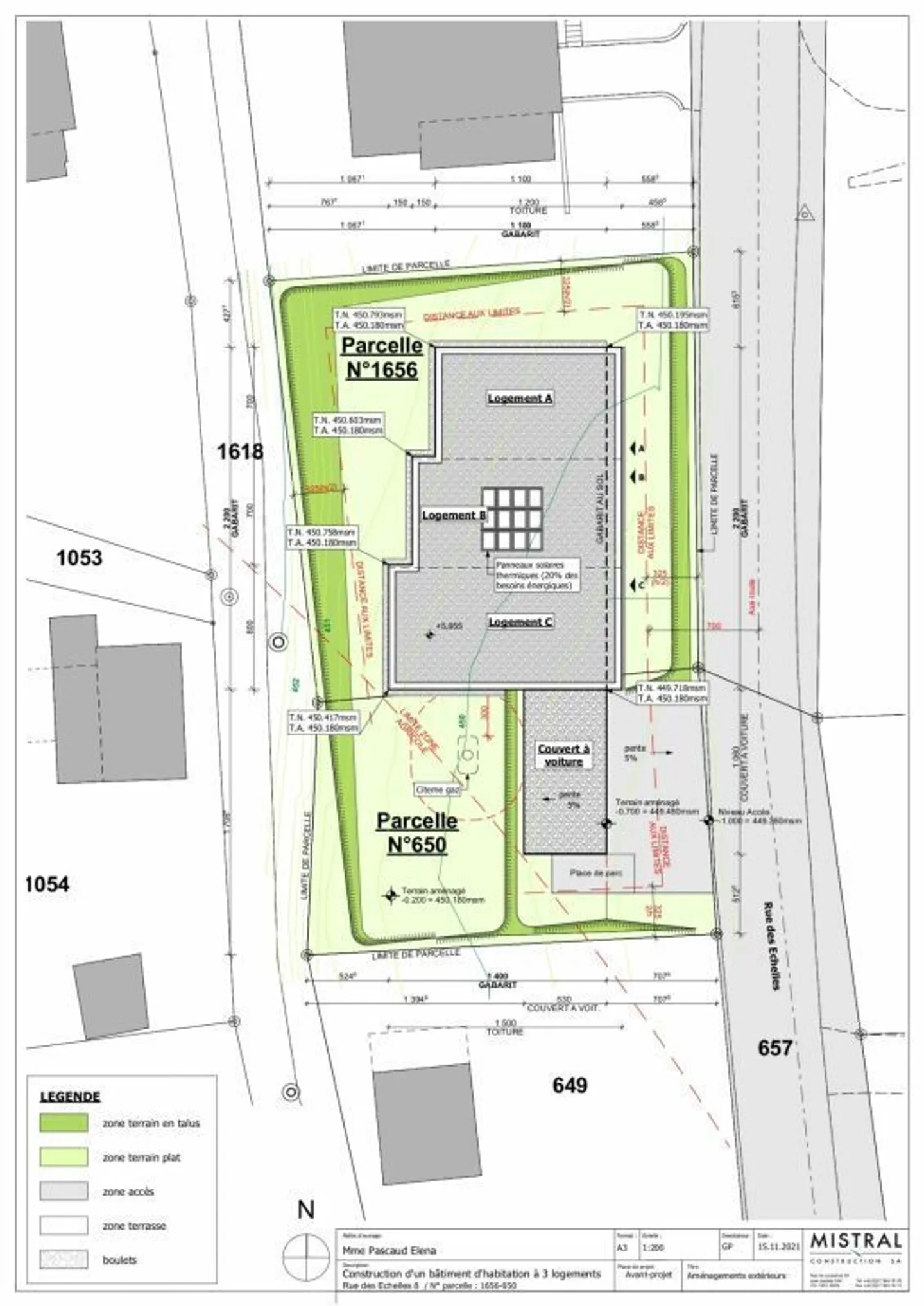
Casa a gradini in vendita - Rue Des Echelles 8, 1902 Evionnaz

5.5 stanze • 216 m² • 185 m² Plot
CHF 897’500.-
CHF 4’155 m²

Perché amerai questa proprietà

Ampio soggiorno di 40.25 m²

Finiture interne personalizzabili

Giardino privato di 185 m²

Organizza una visita

Prenota una visita con Wolf oggi!

Wolf Output SA
Wolf Output SA
Questa descrizione è stata tradotta automaticamente da Francese.

Villa contigua con giardino

In vendita - Nuova villa contigua di 5.5 stanze con giardino privato a Evionnaz (Vallese)

Situata in un ambiente residenziale tranquillo e verdeggiante a Evionnaz, questa affascinante villa contigua di 5.5 stanze offre un ambiente di vita ideale per le famiglie in cerca di comfort, spazio e modernità.

Piano terra

* Un ampio spazio abitativo luminoso di 40.25 m² con cucina aperta sul soggiorno * Un ingresso funzionale con armadio (10.1 m²) * Una camera da letto di 14 m² *...

Dettagli immobile

Disponibile dal
Su accordo
Stanze
5.5
Parcheggio esterni
1
Superficie abitabile
216
Superficie terreno
185

Caratteristiche

Balcone
Parcheggio

Agenzia

Wolf Output SA
Wolf Output SA
Indirizzo:Rue du Rond-Point 14, 1468, Cheyres
Ref: 0a89d2ab-a9c0-11f0-89d7-069ae14c7a06
Online da
15/10/2025
3 giorni fa

Località

Rue Des Echelles 8, 1902 Evionnaz