1 / 9

Castello in affitto - 6900 Lugano

CHF 6’500’000.-
-

Perché amerai questa proprietà

20 appartamenti moderni

Alto rendimento locativo

Posizione centrale a Lugano

Organizza una visita

Prenota una visita oggi!

Questa descrizione è stata tradotta automaticamente da Tedesco.

Palazzo residenziale a lugano

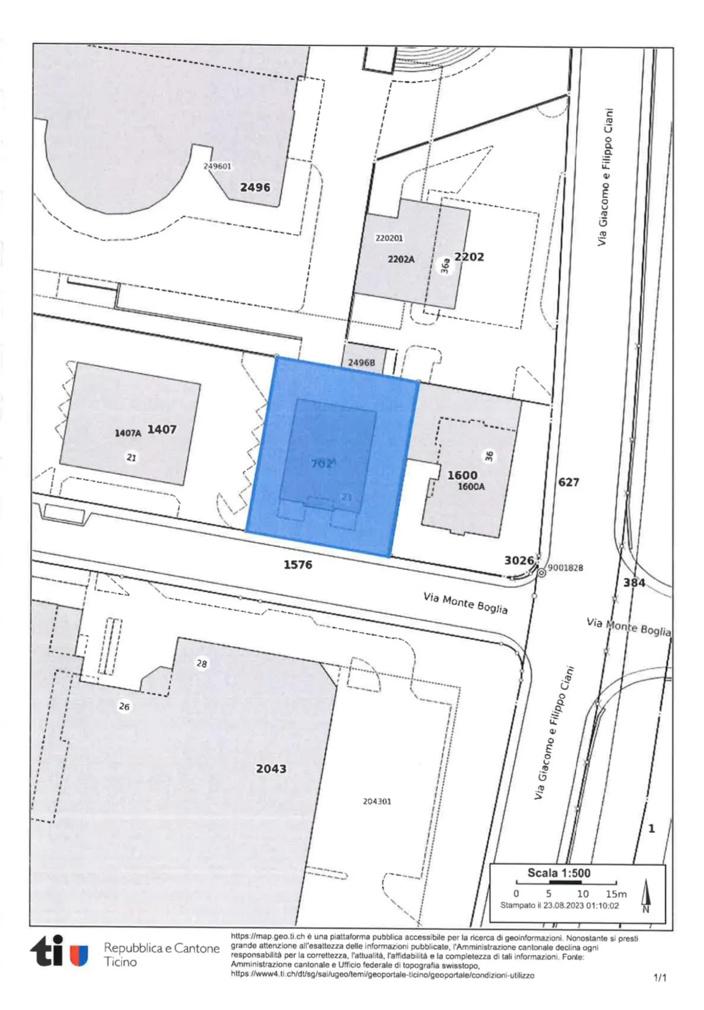
Posizione Via Monte Boglia 23, 6900 LuganoMappa 702 RFD LuganoNumero di appartamenti 2014 appartamenti di 3,5 locali6 appartamenti di 1 localeIl reddito generato è di CHF 280'332.00Prezzo di vendita CHF 7.000.000,00Capitalizzazione 4%

Dettagli immobile

Disponibile dal
Su accordo

Agenzia

Località

6900 Lugano

Fonti