Casa singola in vendita - 5236 Remigen
Perché amerai questa proprietà
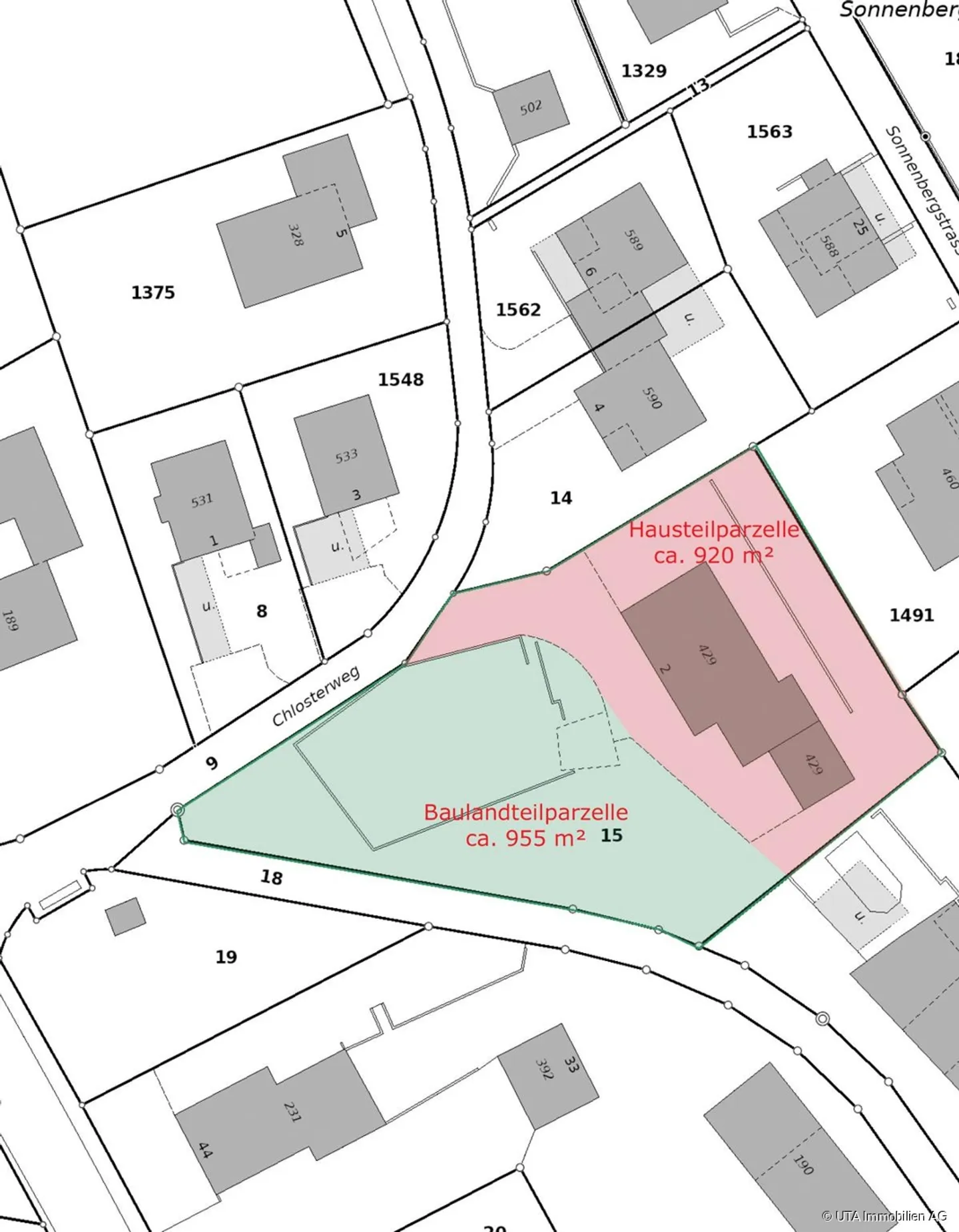
Ampio terreno di 1'876 m²
Vista mozzafiato sul verde
Opzioni abitative versatili
Organizza una visita
Prenota una visita con Nicole oggi!
Vita intergenerazionale - casa unifamiliare + terreno per un duplex
Casa generazionale spaziosa con terreno, un'opportunità rara per famiglie e investitori
Questa proprietà unica combina comfort abitativo, vista e potenziale di sviluppo. Su un ampio terreno di 1.876 m², puoi aspettarti una casa unifamiliare caratteristica di circa 275 m² di superficie abitabile, oltre a terreno aggiuntivo per un duplex, ideale per la vita intergenerazionale, vivere e lavorare, o un progetto immobiliare attraente.
La bellissima vista panoramica sulle colline crea un'atmosfera abi...
Dettagli immobile
- Disponibile dal
- Su accordo
- Stanze
- 7.5
- Anno di costruzione
- 1989
- Superficie abitabile
- 275 m²
- Superficie terreno
- 1876 m²
- Volume dell'edificio
- 1559 m³




