Casa singola in vendita - Hauptstrasse 41, 8777 Betschwanden
Perché amerai questa proprietà
Nuova cucina e pavimenti
Doccia separata in un'unità
Internet in fibra ottica disponibile
Organizza una visita
Prenota una visita oggi!
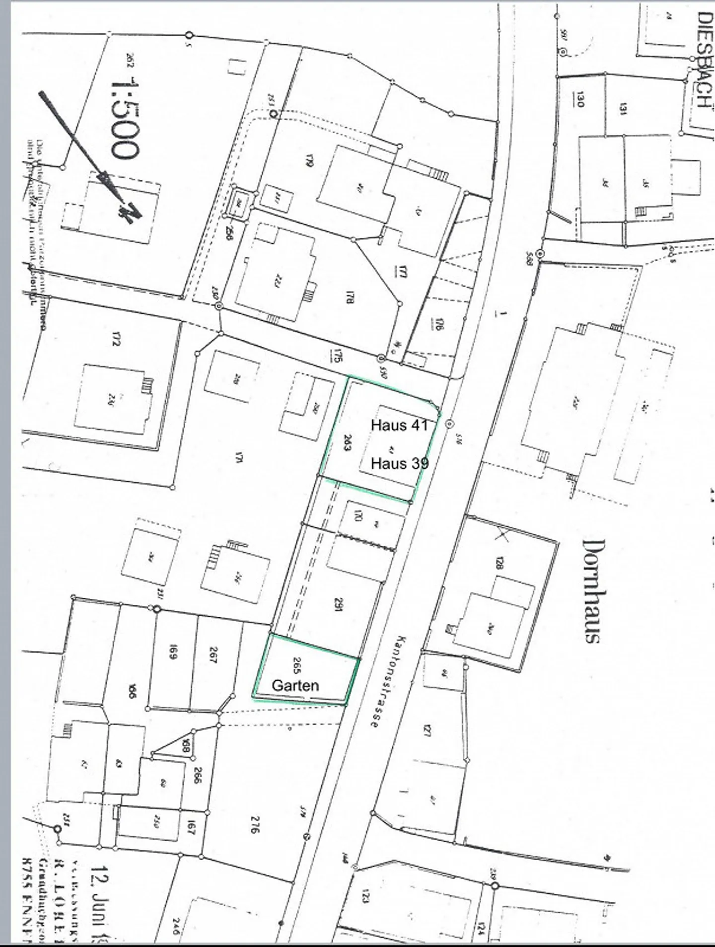
Da posto 2x casa doppia con 4 stanze e 114 m2 di terreno edificabile
Nessun pagamento in contante, tutto viene fatto con un notaio.
Come investimento immobiliare casa 41 Fr 1050 casa 39 Fr 1390 escl. elettricità incl. acqua e spese comunali
Disponibile immediatamente da posto, nel paradiso naturale vendo 2x212 m2 case doppie incl. 114 m2 terreno edificabile foto campione casa costruzione con distanza dalle strade Fr 300.000 lettera scolastica può essere utilizzata per la costruzione è affittata sarà venduta visite solo a parti interessate con il 20% del prezzo d...
Dettagli immobile
- Disponibile dal
- Su accordo
- Stanze
- 7.5



