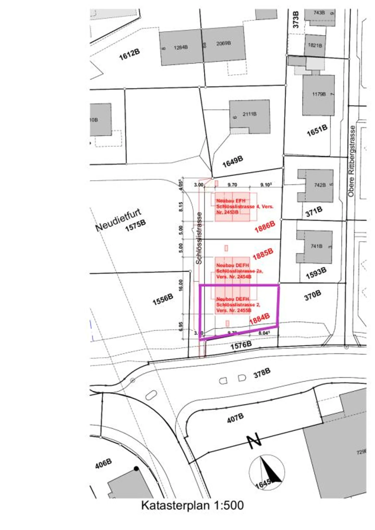
Casa singola in vendita - Schlösslistrasse 2, 9615 Dietfurt
Perché amerai questa proprietà
Ampio soggiorno luminoso
Cucina personalizzabile
Costruzione a basso consumo energetico
Organizza una visita
Prenota una visita con Zwingli oggi!
Casa unifamiliare di nuova costruzione - Personalizzazione a piacere
Vivere in un nuovo edificio - piano ben progettato di 5,5 stanze con spazio esterno e balcone
Benvenuti nella nuova casa bifamiliare!
Questi spazi nuovi e ben progettati non solo renderanno la vostra vita meravigliosamente confortevole, ma vi faciliteranno anche molte cose grazie alla disposizione delle stanze assolutamente pratica e ben pensata. Aggiungete il vostro stile personale attraverso i vostri desideri nell'ampliamento e riceverete la vostra nuova casa come desiderato...
Panoramica
- circa ...
Dettagli immobile
- Disponibile dal
- Su accordo
- Stanze
- 5.5
- Superficie abitabile
- 143 m²
- Superficie terreno
- 291 m²



