Casa singola in vendita - Schlösslistrasse 2, 9615 Dietfurt
Perché amerai questa proprietà
Ampio soggiorno luminoso
Cucina personalizzabile
Caratteristiche energetiche
Organizza una visita
Prenota una visita con Zwingli oggi!
Casa unifamiliare di nuova costruzione - Personalizzazione a piacere
Vivere in un nuovo edificio - piano ben progettato di 5,5 stanze con spazio esterno e balcone
Benvenuti nella nuova casa bifamiliare!
Questi nuovi spazi splendidamente progettati non solo renderanno la vostra vita molto confortevole, ma vi faciliteranno anche molte cose grazie alla disposizione delle stanze assolutamente pratica e ben pensata. Incorporate i vostri desideri nell'ampliamento e quindi il vostro stile personale, e nascerà la vostra nuova casa.
Panoramica
- circa 143 m² di superficie abi...
Dettagli immobile
- Disponibile dal
- Su accordo
- Stanze
- 5.5
- Superficie abitabile
- 143 m²
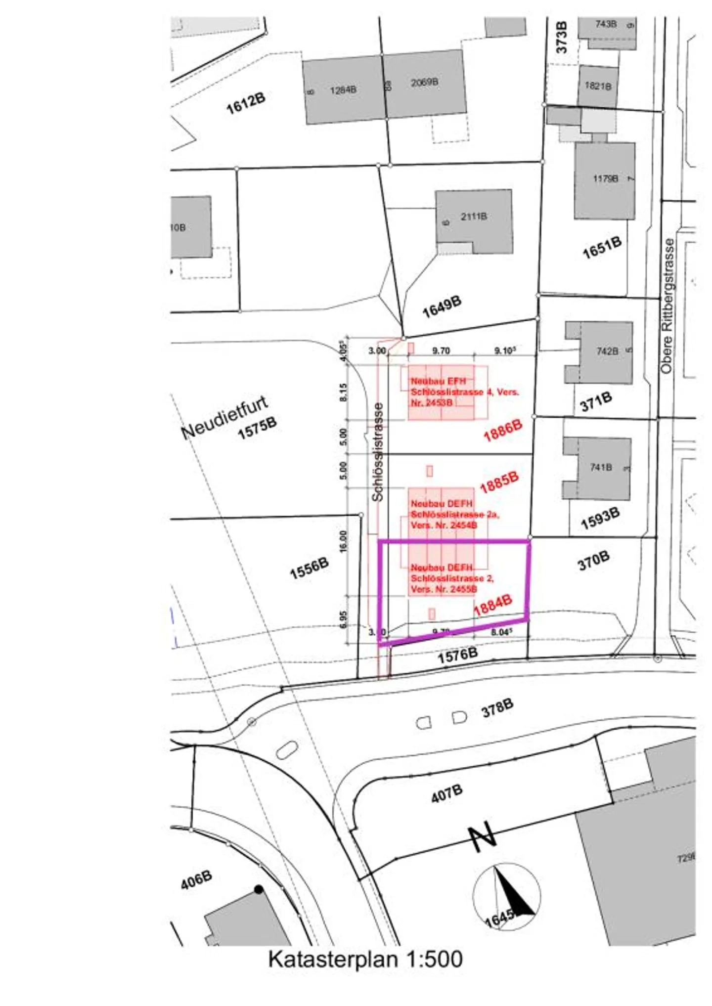
- Superficie terreno
- 291 m²



