Appartamento in vendita - Route Du Sanetsch 310, 1965 Savièse
Perché amerai questa proprietà
Ambiente tranquillo e soleggiato
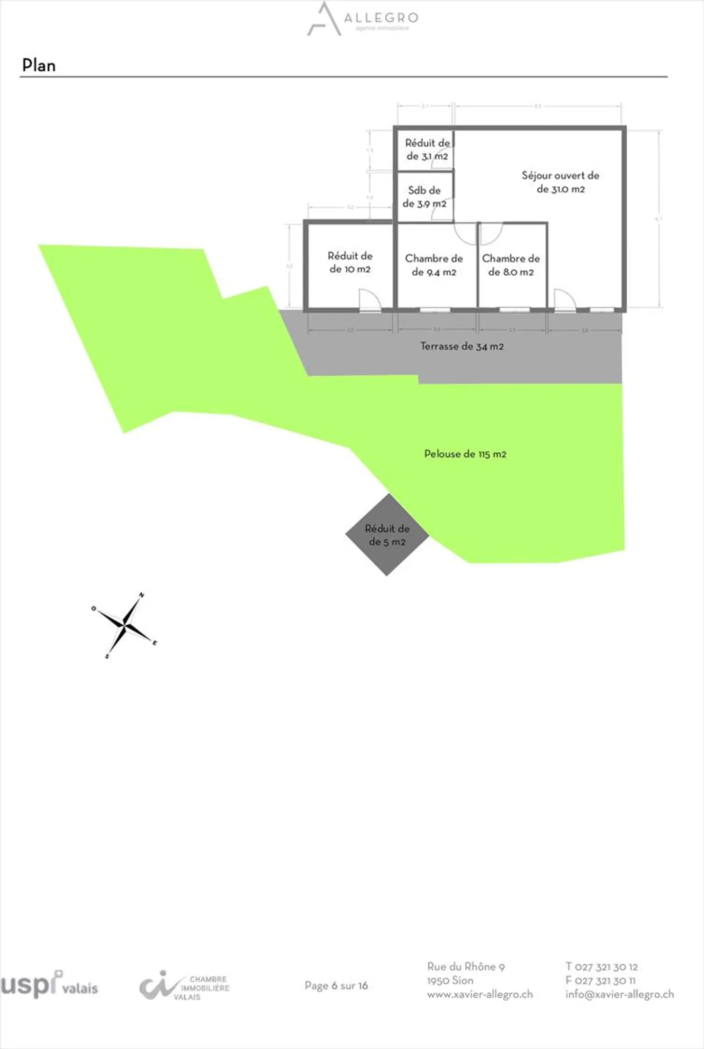
Terrazza spaziosa di 149 m²
Fascino autentico e carattere
Organizza una visita
Prenota una visita con AMACKER oggi!
Appartamento 3.5 locali
Sanetsch, appartamento di 3.5 locali di 63 m2 nel cuore della valle del Sanetsch con una terrazza/prato di 149 m2
Situato nel cuore della valle del Sanetsch, in Route du Sanetsch 310 nel borgo di Vouagno (Comune di Savièse), questa casa con 2 appartamenti affascina per il suo carattere e la sua facilità d'uso.
In mezzo alla natura, a un'altitudine di 1.540 m, la proprietà beneficia di un ambiente unico, sia tranquillo che soleggiato, vicino al Col du Sanetsch e ai suoi paesaggi straordinari.
Il lot...
Dettagli immobile
- Disponibile dal
- Su accordo
- Stanze
- 3.5
- Bagni
- 1
- Superficie abitabile
- 63 m²



