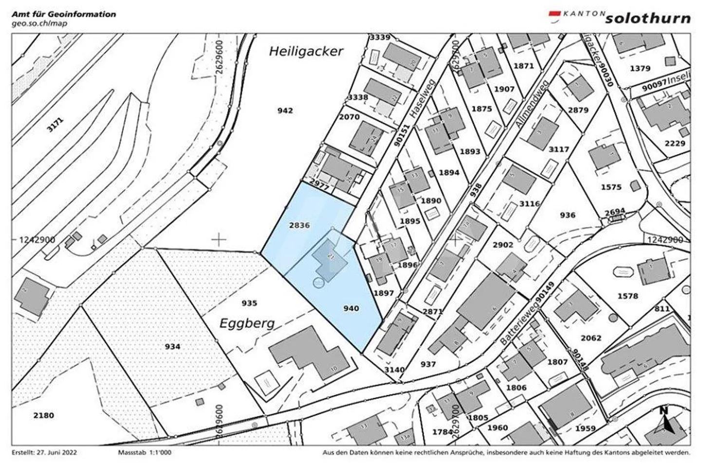
Bauland kaufen - 4614 Hägendorf
Warum Sie diese Immobilie lieben werden
Atemberaubende Alpenansicht
Sonnige Lage den ganzen Tag
Grosses Grundstück für individuelle Bauprojekte
Besichtigung vereinbaren
Besichtigung mit Merico buchen
Erhöht gelegen, herrliche weitsicht und mit viel sonne
Sind Sie auf der Suche nach einem Grundstück für sich oder für Ihre Familie? Wünschen Sie sich eine Parzelle mit einer herrlichen Weitsicht und viel Sonne? Legen Sie Wert auf eine ländliche Gegend und einer Top- Lage mit viel Potenzial? Begrüssen Sie eine Planung ganz nach Ihrem Geschmack?
Wenn Sie diese Fragen mit JA beantworten können, ist dieses einmalige Grundstück bestimmt das Richtige für Sie.
Dieses aussergewöhnliche Grundstück ist ideal für die Realisation eines neuen Einfamilienhauses. Da...
Immobiliendetails
- Verfügbar ab
- Nach Vereinbarung
- Grundstücksfläche
- 1992 m²



